De drie dorpen van Heist-aan-zee
Maurits Coornaert Lic.Klass.Fil.
Inleiding
De oudste benaming van Heist-aan-zee, Koudekerke, komt in 1221-1222 voor de eerste keer voor in de historische bronnen (1). De legende wil dat een eerste dorp van Koudekerke door de zee verzwolgen is. We weten dat de meeste legenden op een waarachtige gebeurtenis steunen. Wat we hier in dit geval kunnen aannemen is, dat een strook grond vóór het tegenwoordige Heist, door de zee werd weggespoeld. Maar zolang er geen historische bronnen gevonden worden, die ons het bestaan van dit Koudekerke aanwijzen, mogen we de legende niet als basis voor de studie van de geschiedenis van Heist nemen.
Het Eerste Dorp
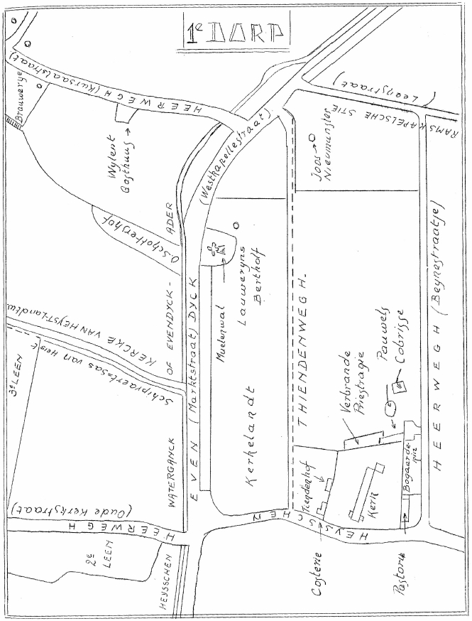
Vooralsnog moet het eerste Koudekerke meer landinwaarts gezocht worden, nl: achter de Evendijk, die alsdan nog zeedijk was. Twee belangrijke elementen van een middeleeuwse dorpskern bevonden zich immers op de bedoelde plaats: deze zijn de Kerk en het Tiendenhof (2).
Het oude dorp lag in de noordwesthoek van het 30e begin van de Watering van Eyensluis, en werd aan de westzijde begrensd door "den heysschen heerwegh", nu Oude-Kerkstraat, aan de noordzijde door “den Evendyck”, nu de Marktstraat, aan de oostzijde door “de Ramscapelsche stye”, later de Stieslag genoemd. Het korte stuk van de Stie, dat hier bedoeld wordt, werd in 1951 door de aanleg van de spoorwegdijk van de buiten afgesneden, en heeft de treffende naam Leenstraat gekregen. De zuidzijde van het dorp werd bepaald door “den heerwech die aen de zuytsyde vande kerckemuer van heyst loopt” naar het oosten tot aan “de Ramscapelsche stye”. Van deze landweg kan men nog een paar resten zien, nl: het Beynestraatje,.
In de zuidwesthoek van dit dorp stond de kerk met daarrond de woningen van de kerkbedienaars. Deze oude kerk (kadasternummer Sie B 357) werd in 1875 afgebroken (3), nadat de nieuwe kerk in gebruik genomen was. De vroeggotische toren bleef nog gespaard tot in 1884. Spijtig genoeg moest ook dit mooie bouwwerk er toen aan geloven (4). Rond de kerk lag het kerkhof (B 356); ook de plaats van de afgebroken kerk werd later door het kerkhof ingenomen. Dit alles samen wordt nu het oude kerkhof genoemd.
Volgens de “Nieuwe Ommelooper van de prochie van Heyst” (1670) was de toestand rond de kerk als volgt:
1) Ten zuiden van de kerk stond de pastorie (B 358): “een vervallen plaet- se daer de capellaenen woonden ende daer den heere pastor woont”. In het huis dat nu op die plaats staat, zitten nog delen van die oude pastorie. Bij het huis was, en is er nog een tuin. De hoge muur gebouwd met “moeffen” die dit alles omsluit is waarschijnlijk dezelfde die reeds 3 eeuwen vroeger vermeld wordt: “aen den heerwegh die aen de zuutsyde vande kerkemuer van heyst loopt”(5). Aan de oostkant van de pastorie, maar steeds ten zuiden van het kerkhof, was er een “bogaerdekin”; daar was er, tot vóór een tiental jaren, de tuin van de aanpalende hoeve (B 350).
2) Ten oosten van de kerk: een woning toebehorende aan de pastorie van Heist. De ommeloper noemt het “de verbrande priestragie hierop staende jegens den kerckmuer” (B 351). Vóór de verwoesting van de kerk en van de omgeving er van in de geuzentijd, woonde de pastoor waarschijnlijk hier
3) Ten noorden van de kerk lag “het thiendehof in heyst”, ”mette suutsyde ande kerckmuer”. Het tiendenhof paalde westwaarts aan “den heysschen heerwech” en “strect met eenen wegh ghenaemt den thiendewech oost-waert tot anden Evendyck”. Dit geheel bestond uit 3 delen:
a/ “daer de costerie op staet” (B 353 tot 355); dit kostershuis stond waarschijnlijk waar nu het grafmakershuis is;
b/ achter de “costerie” lag het tiendenhof (E 352); op deze grond werd onlangs de nieuwe bergplaats van de gemeente gebouwd;
c/ de tiendenweg liep dwars door de oude dorpskern, evenwijdig met de Evendijk, ongeveer 70 m. ten zuiden van deze dijk.
Aan het oostuiteinde draaide de weg een weinig naar het noorden en kwam aan de Evendijk. Dit uiteinde van de weg kan nog gezien worden: het vormt nu een perceel grond aan de westzijde van het huis van Mr Hilderson (B 346).
Verder bevatte het oude dorp in 1670 nog 3 hofsteden:
- Ten zuidwesten van de kerk, de hofstede van Pauwels Cobrisse, die ook eigenaar was van de hofstede “De Panne” en van veel percelen land in het 27e begin van Eyensluis. Aan de westzijde paalde de hoeve “ande kercke-muer”. Ten westen van de schuur lag het bovengenoemde “bogaerdekin”. De hoevegehouwen staan nog alle ongeveer op dezelfde plaats. Als land-bouwbedrijf werd het laatst uitgebaat door de familie Goormachtigh. Thans is daar “Het Boerenhof”.
- In de zuidoosthoek van het oude dorp lag “d’ hofstede metten bogaerde” toebehorende aan Joos Nieuwmunster. De juiste plaats van de hoeve-gebouwen kunnen we voorlopig niet aanwijzen.
- Aan de noordkant lag de hofstede van Lauwereyns Bertholf. Ongeveer op de plaats waar de gebouwen gestaan hebben, staat nu een oud, vervallen huisje, ongeveer 30 m. ten zuiden van de Marktstraat.
Tenslotte was er de molen. Hij stond tot vóór omtrent 25 jaar, aan de noordzijde van het oude dorp, op de Evendijk. Hij werd waarschijnlijk naar bedoelde plaats overgebracht van een andere plaats, die ongeveer 400 m, meer oostelijk langs dezelfde Evendijk gelegen is. Op deze laatste plaats vermeldt de ommeloper “een muelenwal”, en in het 27e begin spreekt men over een perceel “nederlandt, ghenaemt ‘t wulpsche maeyken” “jegens over wijlent de Meulen”. Op zijn kaart van 1571 tekent P. Pourbus op bedoelde plaats een molen. In 1670 was die molen, die daar op een uitsprong van de Evendijk heeft gestaan, reeds verdwenen (B 321).

Het Tweede Dorp
Het oude dorp van Heist is weinig uitgebreid geweest. Reeds vroeg is de bevolking naar het noorden uitgezwermd en heeft ze een nieuwe dorpskern gesticht. Dit tweede dorp heette aanvankelijk het Noorddorp, om het te onderscheiden van het oude dorp dat ten zuiden bleef bestaan. Het werd reeds enkele tientallen jaren vóór 1670 verwoest. Later, nadat Heist zich in oostelijke richting had uitgebreid, werd dit tweede dorp het westelijk deel van Heist, en werd het Westdorp genoemd.
Het tweede dorp lag in de noordwesthoek van het 25e begin van Eyensluis en in de westhelft van het 26e begin. Deze beide beginnen liggen in de Oudemaerspolder. Deze polder, die voor het eerst in 1288 vermeld wordt (6), strekt zich uit van Blankenberge in het westen, tot aan de Pannedijk of Sacramentsweg in het oosten, tussen de Graaf Jansdijk in het noorden en de Evendijk in het zuiden. De ommeloper van Heist van 1670 geeft de oppervlakte van de gehele Oudemaerspolder: 1481 gemeten, 1 lijn 3 1/2 roeden (7).
Vermoedelijk liep in dit tweede dorp de “Geul van Heist”. Deze hipoteze steunt op de gegevens die onmiddellijk volgen.
Ongeveer 200 m. ten noordoosten van de oude kerk van Heist, vertrekkende van de Evendijk, verliep “de Vaert of Sas van heyst, met eenen landtwech noortwaert deure tot an eenen anderen wech int dorp van heyst”. Deze waterloop werd ook “de Schipvaert” genoemd in de aanhef van het 26e begin: ”de wech soomen rydt uytten dorpe naer de Schipvaert”. Genoemde landweg is “de kercke van heyst landtwech die suutwaert naer den heysschen vaert strect”. Dezelfde weg kwam noordwaarts aan de zeedijk; daar loopt nu de Vuurtorenstraat en de H. Lybaertstraat.
Die weg was eigendom van de kerk van Heist en vormde een verbinding tussen enerzijds het perceel land van de kerk, gelegen aan de Evendijk in de noordwesthoek van het oude dorp (B 334 tot 342), en anderzijds de gronden van dezelfde kerk in het Noorddorp (8).
Langs die weg, waarschijnlijk aan de westzijde ervan, liep een watergang: “de Schipvaert” of “Sas van Heyst” of “Heysschen vaert”. Van het zuiden uit wordt hij, over een afstand van ongeveer 150 m., nog vermeld in de ommeloper. Indien verder onderzoek van de bronnen uitwijst dat die waterloop langs de landweg noordwaarts liep en in zee uitmondde, dan hebben we hier waarschijnlijk de “Geul van Heist”.
Ongeveer waar die zou hebben uitgemond tekent P. Pourbus, op zijn kaart van 1571, een vuurtoren: ”die vierboeten van heys, die bi den molen staen”.
Indien de ligging van de Geul en van de Vuurtoren was zoals hier vooropgesteld wordt, dan begrijpt men beter de volgende aanwijzing in het handboek voor de zeevaart op het Zwin: ” Wilt gij binnenzeilen in de geul van Heist, gij moet de vuurtoren van Heist, die bij de molen staat, brengen tegenover het koor van de kerk van Heist, zo zult gij de geul op de beste plaats binnenzeilen” (9).
De Heistenaars zijn dus al vroeg dichter bij de zee gaan wonen omwille van hun bedrijvigheid: de visvangst en het varen in de geul. In 1465 is deze bewoonde kern in elk geval reeds belangrijk (10).
Dit tweede dorp van Heist lag aan weerszijden van de genoemde landweg die van de Evendijk naar de zee liep:
- a) De westzijde was bijna helemaal leenland (B 116 tot 125). Het noorde-lijke deel ervan vormde “het hooghe leen” (B 116-117): ”het hof van heys geseyt Coudekercke”. De noordwesthoek van het hoge leen paalde aan de zeedijk. In 1670 was dit “hooghe leen” reeds door de bewoners verlaten. De ommeloper beschrijft het ons als “een platse van lande daer veel diverssche huusen op ghestaen hebben, ende is meestal cheynslandt dat diverssche persoonen dan betimmert hadden, daer de brauwerie op stont ende smisse”. Op het westelijk deel van dit perceel staat nu de kerk van Heist (B 116). Op dit perceel moet een belangrijk deel van het tweede dorp van Heist gestaan hebben, voordat dit dorp verwoest werd en Heist zich meer naar het oosten verplaatste.
Ook het perceel dat zuidelijk daaraan paalde was reeds vroeger verwoest en verlaten: “een grote platse van lande, diverssche stycx, ende met veel huusen ten zuudwestenhoucke vanden dorpe up ghestaen hebbende”, “synde het 3e leen van 't hof van heyst”. Hierop stond alsdan een hofstede. Ongeveer op deze plaats staat nu nog, aan de noordzijde van de Sint-Antoniusstraat, een gewezen boerenbedrijf (B 118-120).
Even ten westen van het hoge leen, aan de overzijde van de Heerweg lag “het 2e leen van het hof ‘t heyst” met de hofstede “ghenaemt Keyenburg” (A 97- 102). Aan de zuidzijde van de hoevegebouwen (A 98-99) lag een korte uitweg: ”de noortpolderstraete” (A 101).
Het tweede dorp telde verder nog twee “huuskins” even ten noordoosten van het hoge leen, die paalden aan de zeedijk, in de ruimte die nu begrensd wordt door de Kerkstraat, de Vuurtorenstraat en de Vlamingstraat (B 104-115). - Aan de oostzijde van de “Kercke van Heyst landtwegh” had men, te beginnen van uit het noorden, tussen “de noortstraete” en de “slagh jegens de duyne” een perceel grond van de kerk van Heist met een “huusckin” (B 36-39). Op de zuidwesthoek van de “noortstraete” stond “een huis metter erfve” (B 103), en ten zuiden daarvan op de noordwesthoek van de “suudtstraete” “een huus metter erfve genaemt het papenhooft” (B 100). De “noortstraete” is tegenwoordig de Vlamingstraat, de “suudtstraete” is nu de Kerkstraat.
Op de zuidwesthoek van de “suudtstraete” was “een platse van landen daer huusen opghestaen hebben” (B 136-146). Ten zuiden van dit perceel, verder langs de oostzijde van de “kercke van heyst landtwech” een perceel land “wylent een hofstede” (B 131).
Ongeveer 100m ten zuidoosten daarvan “ ‘t oude schuttershof van heyst met ten suuthende anden Evendyck” (B 127). Omtrent 60 m. ten oosten van dit perceel stond het gasthuis (B 127 bis). Aangezien het een eind buiten het dorp gelegen was, menen we dat hier in de middeleeuwen het leprozenhuis gevestigd was.
We zien dus dat in dit tweede dorp het Opperleen van Heist zich bevond, met daarrond het 2e en het 3e Leen. In dit dorp hebben “diverssche huusen” gestaan, alsook een smisse, een brouwerij, het oude schuttershof en het ziekenhuis.
Deze bedrijven, behalve “het gasthuus” werden later in het 3e dorp heropgericht toen Heist zich naar het oosten verplaatste. Deze oostwaartse beweging in zijn uitbreiding, heeft Heist sedertdien steeds gekend. Het tweede dorp werd verlaten, niet alleen omdat het verwoest was, maar waarschijnlijk ook omdat de Geul van Heist verzand was en alle belang verloren had.

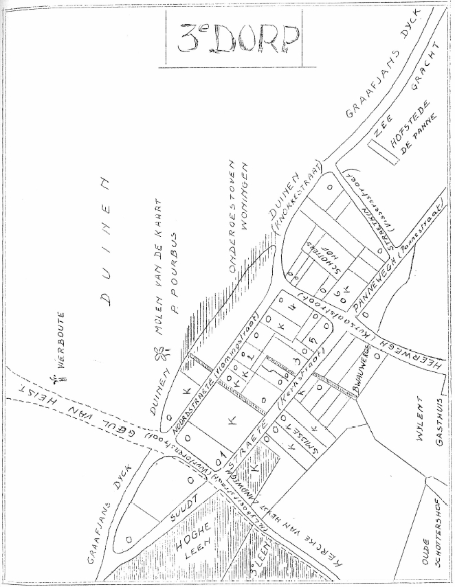
Het Derde Dorp
Het derde dorp van Heist lag, evenals het tweede, in de Oudemaerspolder, en was gevestigd aan beide zijden van “den heerwech die strect vanden Evendyck noortwaert deure ‘t dorp tot ande duynen”. Deze Heerweg is nu de Kursaalstraat. Het dorp bestond uit drie wijken die ieder in een verschillend begin van de Watering van Eyensluis lagen:
1) Een eerste wijk lag in de noordoosthoek van het 25e begin. Het paalde west aan de “kercke van heyst landtwech”, thans de Vuurtorenstraat, zuid aan “de suydtstraete”, thans de Kerkstraat, oost aan “den heerwech”, later de Pompestraat genoemd (11), thans de Kursaalstraat, noord “anden slaghe jegens den duyne”. De noordzijde van bedoelde wijk werd niet meer gevormd door de zeedijk, zoals de noordzijde van het “Hooghe Leen”, want de duinen zijn landinwaarts verstoven en hebben de zeedijk, de weg en de zeegracht er langs bedolven.
Waarschijnlijk om dezelfde reden vermeldt de ommeloper de molen niet meer die P. Pourbus nog in 1571 aangeeft. Deze stond op de Graaf Jansdijk ten noorden van ‘t Westdorp. Er was toen al meer grond ondergestoven, nl. “een groote plaetse van lande daer veel woonsten opghestaen hebben”. De genoemde voetweg in de duinen verliep ongeveer waar nu de N. Mengélaan ligt.
- In deze eerste wijk hebben we vooreerst de strook ten noorden van “de noortstraete” (Vlamingstraat). Een flink stuk ervan was reeds ondergestoven. Het westelijk deel was eigendom van de kerk van Heist (B 36-39), en daarop stond een “huusckin”. Het oostelijk deel behoorde aan “den disch van heyst” (B 41-48). Tussen die twee percelen verliep van “de noort-straete” naar de duinen het “halfve straetkin ofte stopkin” of “sloupkin”.
- In de strook ten zuiden van “de noortstraete” stonden, volgens de om-meloper van 1670, 15 “huusen” en “huusckins”. Ongeveer de helft van deze strook was eigendom van de kerk van Heist of van “Onse Vrauwe misse in heyst”. Hier waren twee “straetkins” of “sloupkins”. Het westelijk liep van “de suudtstraete” naar “de noortstraete”; het oostelijke vertrok eveneens van “de suudtstraete”, maar kwam niet tot aan de “noortstraete”. Dit “straetkin” vormt nu waarschijnlijk het zuiderdeel van de Kard. Mercier-straat. Op de oostzijde van dit laatste “sloupkin” lag “het houthof” (onge-veer B. 83-84). Op een houthof werd vroeger het brandhout verzameld, dat dan uitgedeeld werd aan de armen van de parochie. Even ten noordwesten van het Houthof stonden twee “aermehuysen”, eigendom van “den armen van heyst” (ong. B 81-82),
Ten oosten van de “aermehuysen”, in de hoek van “de noortstraete” en van de “heerwech” was “een huus metter erfve, dat een waghemakers wynckel is” (B 49-56). Even ten zuiden daarvan, in de hoek van “de suutstraete” en de "heerwegh” stond “dherberghe met haere erfve ghenaemt de Croone”, die in 1670 toebehoorde aan Quintin Brouckaert (B 63-64).
2) De wijk ten zuiden van “de suudtstraete” vormt een klein afzonderlijk begin: het 26e van Eyensluis. Ook hier was de westgrens “de kercke van heyst landtwech” en de oostgrens “de heerwech”. De zuidzijde paalde “som ghenouch vuerghemeens” aan het 25e begin.
De noordwesthoek was land van de kerk van Heist en, zoals boven vermeld, vroeger bewoond geweest: ”een plaetse van landen daer huusen opghestaen hebben”.
De zuidwijk bevatte 5 woningen. Ongeveer in het midden stond “thuus metter erfve dat jeghenwoordich een smisse is... ende heet het Ingelsch schildt”. De tegenwoordige smis in de Devrièrestraat staat waarschijnlijk op dezelfde plaats (ong. B 153-155).
Verder ten oosten van de smidse verliep een “straetkin ofte oude verdonkerde ader” van “de suutstraete” zuidwaarts naar het land van Lenaert Geylie in het 25e begin (B 127). Tussen het straetkin en de heerwech stond “de hofstede ende brauwerye daer Lenaert Geylie nu jeghenwoordich brauwt” (B 164-166). Op de bedoelde ruimte staat nu het klooster van de Eerw. Zusters (B 164-174).
Ongeveer 70 m. ten zuiden van de brouwerij was er in het land van Lenaert Geylie, palende aan de westzijde van de heerweg, een perceel, groot 28 roeden, “ende is ‘t lant daer wylent ‘t gasthuus op stont” (B 127 bis).
3) De derde wijk heette het Oostdorp en lag in de noordwesthoek van het 27e begin van Eyensluis. Dit 27e begin is het meest oostelijke deel van de Oudemaerspolder en noemt de Pannepolder: ”ghenaemt de Panne ant oostdorp van Heyst”. Doorheen dit gebied liep de “Pannewech” vanaf “de suutstraete” naar het oosten. Het westelijk deel van deze weg noemt nu de Pannestraat, en verder oostelijk heeft hij, sedert een zestal jaren, de naam Graaf Jansdijk gekregen. De noordzijde van het Oostdorp paalde “anden duyne”, de westzijde aan de heerweg, de zuidzijde aan de Panneweg, nu Pannestraat, de oostzijde aan “de straete”, thans de Vissersstraat. Merkwaardig is dat deze wijk nu door de Heistenaars “Oud Heist” genoemd wordt, en dat de wijk, die zich ten oosten van het Oostdorp heeft ontwikkeld, nu de Oosthoek noemt.
In 1670 telde het Oostdorp 7 woningen. Vijf ervan stonden langs de Heer-weg. Het huis op de noordhoek van de Heerweg en de Panneslag was “de Herberghe ghenaemt de Swaene” (B 175-179). Deze herberg behoorde aan de kerk van Heist. Aan de oostzijde van de herberg was “een plaetse van lande wijlent een hofstedekin” (B 198). Te midden in de wijk lag “ ‘t Schottershof van Heyst... eene viercante bloote plaetse” groot 1 lijn 6 roeden (B 194-197).
Op ongeveer 50 m. ten oosten van de straat, die nu de Vissersstraat is, stond de hofstede “De Panne” (B 221). Omtrent op deze plaats staan nu de gebouwen van de elektriciteitsdienst te Heist. Deze hoeve was eigendom van Pauwels Cobrisse, die eigenaar was van veel percelen land in hetzelfde 27e begin , en van enkele percelen in het 30e begin, alsook van de hofstede naast de oude kerk. De hofstede “De Panne” is later, door het overstuiven van het duinzand in verval geraakt. K. De Flou vermeldt een advertentie van de verkoop van de resten van de hoevegebouwen. In juli 1830 geeft men op dat “slechts een schuere is blijven staen” (12). Het moet een grote hoeve geweest zijn, als men oordeelt naar de afmetingen van de schuur, die op de kaart van Popp getekend is: de lengte is ong. 35 m. en de breedte ong. 8 m.
De hoeve lag tegen de Zeegracht. Dit was de gracht die langs de Graaf Jansdijk liep. Langs de noordzijde van het 27e begin van Eyensluis, noemde de Zeedijk, ook Pasteurdijk of dijk van het Pasteur (13). Diezelfde Zee-gracht bestond ook nog langs de noordzijde van het 24e begin tot aan de monding van de Ede. Van aan het Hoge Leen tot aan de hofstede de Panne wordt langs de noordzijde van het Westdorp en van het Oostdorp geen zeegracht, ook geen dijk vermeld, maar wel een voetpad in de duinen. Het bedoelde gedeelte was dus toen reeds ondergestoven. De lengte ervan is ongeveer 350 m.

Besluit
Na het aandachtig bestuderen van de Ommeloper van Heist van 1670, zijn we dus tot de bevinding gekomen dat de dorpskern van Heist achtereenvolgens op drie verschillende plaatsen gevestigd was.
Het Eerste Dorp lag achter de beschermende Evendijk. Daar stond de eerste kerk en het tiendenhof. Ongeveer 200 m. ten zuiden van de kerk, aan de Heerweg naar Ramskapelle, verliep de “Vischweg” in de richting van Lissewege. Te midden van het dorp liep de tiendenweg. Voorlopig kunnen we de dichtheid van de bewoning van dit dorp, zolang het nog dorp was, niet weergeven, en moeten we blijven bij de weergave van de toestand van 1670.
We mogen aannemen dat dit eerste dorp ontstond na de aanleg van de Evendijk. We weten niet wanneer juist de eerste bidplaats gebouwd werd. Toch kunnen we veronderstellen dat dit al in de XIIe eeuw gebeurd is: in 1221 spreekt men al van “apud Koudakerka” en in 1227 van “ecclesiam de coudekercka (14). Als parochie werd Heist afgescheiden van Lissewege vóór 1249 (15).
De dorpskern verhuisde noordwaarts, waarschijnlijk nadat de Oudemaarspolder door de Graaf Jansdijk op de zee werd gewonnen. Dit Tweede Dorp of Noorddorp werd gevestigd op het leenland van het Hof van Heist. Dit dorp, waar onder de smidse en de brouwerij, werd verwoest. Door latere opzoekingen zal moeten uitgemaakt worden wanneer en hoe deze verwoesting heeft plaatsgehad, en hoe belangrijk dit dorp geweest is. Dwarsdoor dit dorp liep de “Kercke van Heyst Landtwech” van de Evendijk naar de zee, en daarlangs lag heel waarschijnlijk de Geul van Heist. Aan de monding van deze laatste, aan de oostzijde, stond, althans nog in 1571, de “vierboete die biden molen staet” (16).
Na de verwoesting van het Tweede dorp, werd Heist meer oostelijk heropgericht. In 1670 is het reeds in volle zwier. Men vindt er bijna alle elementen die nodig zijn voor een dorp van die tijd: de smisse, de wagenmakerij, de brouwerij, 2 herbergen, het schuttershof, 2 armenhuizen en het houthof. Alleen de kerk en het tiendenhof waren in het oudste dorp gebleven; de molen stond op de Evendijk. Het Derde Dorp telde al te samen ongeveer 30 woningen. Doorheen het dorp liep van de Evendijk naar de duinen een Heerweg, thans de Kursaalstraat geheten. Uit dit derde dorp is het huidige Heist gegroeid.
1. De Kerk / 2. Het Tiendenhof / 3. De Oostmeulen (weg in 1670) / 4. De molen in 1670 / 5. Het Oud Schottershof / 6. Het Gasthuis / 7. De Brou-werie in 1670 / 8. Keienburg / 9. De Smidse in 1670 / 10. Het Houthof / 11. De Armenhuizen / 12. De Geul van Heist / 13. Een Molen in 1570 / 14. Het Schuttershof in het 3e Dorp / 15. De Panne- Hofstede / a. Meulenbrugh Stick / b. Het Wulpsche Mayeken / c. De Verdonkerde Wulpschen Wech /
Verwijzingen:
De meeste gegevens van dit artikel komen uit de “Nieuwe Ommelooper van de prochie van Heyst, gemaect ende vernieuwt by Andries Vandevoorde, gesworen landtmeter slandts vanden Vryen, inde maendt van 9ber [november] 1670” – Rijksarch. Brugge, Heist aanwinst 3506.
- K. De Flou, Toponymisch Woordenb. V, 753.
- Zie ook: J. Larbouillat, Rond de Poldertorens, 3e Jg. Nr 4, Blz 147.
- J. Nollet, Heyst-aan-zee en zijn verleden, Brugge 1909, Blz 8.
- Dr. L. Devliegher, Opkomst van de kerkelijke gotische bouwkunst in West-Vlaanderen, Brugge 1955, 1e deel, blz 59.
- K. De Flou, XVIII, 530.
- K. De Flou, XI, 1177
- Ommeloper van Heist (1670) f° 27 r°.
- Het Noorddorp vinden we vermeld in het stuk van 26/12/1509 (chronologische orde) van de Inventaris Schouteet “Chaters private aangelegenheden” f° 12, Stadsarchief Brugge. Ook bij K. De Flou, V, 524, eerst in 1538 en verder nog eens aangehaald in Landboek O.L.Vr.-kerk, rond 1575.
- Dr. Jos De Smet, in “West-Vlaanderen” mei-juni 1961, b1~ 170.
- Drs. L. Danhieux, Rond de Poldertorens. III jaarg, nr 2, blz 60 “... dat si trecken met sterker wake te Heys, ende dat daer gheen nood es mids den toeverlaet (= hulp) vanden dorpe dat groot es, ende sitten byeen, ende die wake ten gate waert: vander see can nieten commen”.
- J. Drubbel, Beschrijving van de Verenigde Wateringen van Eyensluis en groot Reygarsvliet, Brugge 1839, blz 34.
- K. De Flou, XII, 306.
- J. Drubbel, blz 35.
- K. De Flou, V, 753.
- R. De Keyser en J. Ballegeer in Rond de Poldert. 1e jaarg, nr 2, blz 6.
- K. De Flou, V, 762.
Verklaring bij de “ kaarten” van 1e DORP / 2e DORP / 3e DORP
O = Teken voor een woning waarvan de plaats binnen het perceel niet meer kan nagegaan worden
Arcering = Strook met verdwenen bewoning
Dikke lijn = Sloupkin of Straetkin
K. = Kerkeland
1. = Het Papanhooft
2. = De twee Armenhuizen
3. = Het Houthof
4. = De Waghemaeckers Winckel
5. = Herberg De Croone
6. = Herberg De Swaene
Een gravure van de Kerk van Heist a/z in 1880
