De juiste ligging van het eerste Hazegrasfort
Broeder Gaëtan cfx
Meer dan eens werd mij door mensen van de streek of door liefhebbers van wandelingen in die uithoek van Knokke, de vraag gesteld: “Waar lag hier eigenlijk het Hazegrasfort?” En dan moet ik hun antwoorden met een vraag die hen helemaal in cle war stuurt: “Welk Hazegrasfort, want ik ken er drie opeenvolgende?”
Ja, er hebben in de oostelijke hoek van Knokke, tegenaan het Zwin, 3 forten gestaan (of 6, als we die van 1830, van 1916 en van 1942 meerekenen!) die de naam hebben gedragen van Hazegrasfort. De meesten, zoals Karel De Flou, kennen er twee: dat van 1623 en dat van 1784. Het oudere werd blijkbaar over het hoofd gezien en niemand heeft het juist gesitueerd.
In Concordia, de Schoolrevue van het Sint-Franc.-Xaveriusinstelling Brugge, jaarg. 1957 Nrs van mei en juli, vertelde ik over de strijd in 1604 rond de forten op de oevers van het Zwin en vermelde daarbij teksten en kaarten uit: P. Giustiniano Della di Fiandra 1609; G. Chappuys: Histoire générale de la guerre en Flandre Tome II 1611-1623; Broer Janszone : - Journael ofte Dach-register van 't Principaelste in Vlaenderen geschiet 1604.
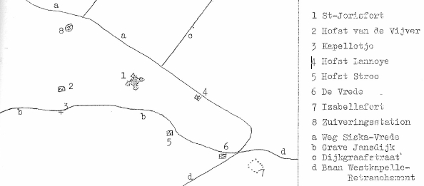
Daaruit blijkt duidelijk dat er op de linker oever van het Zwin in 1604 een linie lag, bestaande uit 4 forten die in de schorre lagen buiten de Grave Jansdijk op omtrent gelijke afstand van elkander: het Kleine Pas van Sluis, het Sint-Annafort, het Sint-Teresiafort en het Sint-Jorisfort. Dit laatste wordt in die werken ook genoemd Groot Fort of Hazegrasfort (Het Hazegras was in de 17e eeuw, al de grond die lag boven de Grave Jansdijk vanaf ‘t Zwin tot aan het “kerkhof van Knokke”!) Het Sint-Jorisfort of Eerste Hazegrasfort wordt op de kaarten steeds getekend te noorden van de Vagevierspolder (Op één kaart vond ik de naam Groot Kasteel).
Wanneer dit fort werd opgericht weten we niet. Misschien door Farnese die meer strategisch belang hechte aan Sluis dan aan zijn gedwongen landing op Engeland.
Misschien wat vroeger om de streek te beveiligen tegen de Watergeuzen. In 1604 bleek het te ver van de vaargeul in ‘t Zwin te liggen om de vijandelijke boten te bekogelen.
Op 23 mei 1604, na 4 of 5 dagen beleg, gaven die van het Hazegrasfort zich over aan Prins Mauritz, ”par composition et sans attendre la batterie”. Ze zijn daaruit getrokken met hun volle wapenen, medenemende hun bagage en waren sterk 150 man, latende in de schanse omtrent 5 fraaie metalen (=bronzen) stukken en enige ijzeren". Inderdaad, ze hadden 8 stuks geschut en waren wel voorzien van victualiën en buskruit, want in het ammunitiehuis werden gevonden 19 tonnen kruit.

“En op een tonneke was een mandeke met ijzeren kogels gezet, daaronder waren lonten gelegd, dat als die zouden doorgebrand zijn: ‘t ganse ammunitiehuis met de schans en allen die daar in waren, zou weggesprongen zijn. Maar de lonte is door een van de onzen geroken, die dat mandeken van de tonne zette. Alzo is dat schelmstuk niet gelukt en heeft God ons wonderbaar bewaard”, zo vertelt Janszone.
De Hollandse bezetting van het Hazegrasfort kwam onder het bevel van Joos de Chantraines Broucqsault. Van de andere kant wordt door Carnero verteld dat de Spaanse bevelhebber van het Sint-Jorisfort later, om zijn laffe overgave, werd ter dood veroordeeld.
Door de geweldige stormgetijen van 1621 werd het Hazegrasfort volledig weggespoeld. Daarom zal er in 1623 een nieuw Hazegrasfort gebouwd worden, dichter bij de vaargeul: het Sint-Izabellafort.
Als we nu door de Polder wandelen van de heer vande Vijver, dan komen we daar aan een eigenaardige glooiing in de grond. Het bodemkundig onderzoek tekende daar aan: vroeger bewoonde grond. En de oude boerenarbeider zal U vertellen dat de stenen die hij daar regelmatig boven ploegt, voortkomen van een Spaans fort: dat heeft hij “al ze leven” van zijn vader zaliger gehoord.
Echt, de traditie weet nog na 340 jaar de juiste ligging van het Eerste Hazegrasfort. Op de kaart van Pourbus 1575 staat niet ver vandaar een hoge terp getekend met de naam “Scaperie”. Heeft het voorhanden zijn van die grote hoop grond mede de aanleg van het fort op dié plaats bepaald?
