Stevenine Bousse, Winkelierster te Blankenberge 1630-1680
Firmin Roose
Vooraleer het leven van Stevenine Bousse te reconstrueren, willen wij erop wijzen dat de genealogische opzoekingen ter zake ten zeerste bemoeilijkt worden door het volledig ontbreken van parochieregisters voor die periode.
Te Blankenberge vinden we slechts de eerste gegevens betreffende doopsels, huwelijken en overlijdens van 1690 af. Er bestaat wel een register nr. 1, dat loopt over de periode 1646 à 1673, maar het bevat enkel uitheemse namen en het zou, volgens archivaris L. Danhieux, de gegevens bevatten van het fort te Blankenberge, dat meestal door vreemde troepen bezet bleef.
Wij waren dus aangewezen op andere bronnen, zoals Wettelijke Passeringen en Staten van Goed, die uiteraard niet zo nauwkeurig zijn, waar het data betreft. Niettemin slaagden wij er in een tamelijk juist beeld te krijgen van de gezinnen, waarvan Stevenine de spil was, en die in het 17de-eeuwse Blankenberge een rol gespeeld hebben.
1. Stevenine Bousse
Stevenine Bousse was de dochter van Adriaen Bousse en “sijne huysvrauwe, Janneken, Jan vanden Berghe”. Haar geboorte kunnen wij situeren tussen 1630 en 1635, vermits zij bij haar huwelijk in 1654 nog niet meerderjarig was. 1 Zij had een broer, Pieter, en een zuster, Louijse, die in januari 1660 trouwde met Ferdinande Wilsoet..
Adriaen Bousse Jan vanden Berghe
____________ _______________________
->Maerten X ->Joanna ->Joos
__________________________
->Pieter ->Stevenine ->Louijse
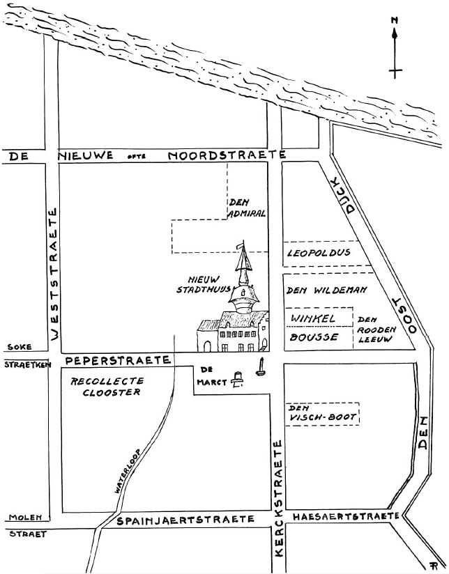
Maerten Bousse was eigenaar van de herberg “Leopoldus’ en van het huisje, dat ten noorden ervan stond. Het eerste eigendom was “een huijs met hoochcamer, plattecamer ende cuecken, ende voorts eene backerie, alle te saemen aen malckanderen, ghedeckt met pannen, wesende eene herberghe ghenaempt "Leopoldus" , met daer tenden eene brauwerie ende alle het brauw alaam daermede gaende ende oock een peerdestal, daer nevens staande”; en het stond “in de rechte Kerckstraete, Op de oostzijde van diere, streckende met den zuijtgevele nen een cleen verdonckert straetken, dese stadt competerende, tusschen "den Wildeman" ende desen huijse, ende voorts met den noortgevele streckende in haer selfs huijs, achterwaert streckende met eene partie van lande, tot aen de Stadtstraete, dat hier voortijdden heeft gheweest de groote mart der stede van Blankenberghe”. Maerten had de herberg “daer nieuwe ghedaen maken” op een stuk grond dat hij van Pauwels Sproncholf gekocht had. 2
Naast dit eigendom stond er een tweede, “een ander huijs met een hoochcamerke ende een faute kelders daer onder, met een cueckene, alle te seamen met stroij ghedeckt, met eene schuere, tenden het hoeveken van desen huijse staende op stillen”.
In de “Leopoldus” was Maerten bakker. Op 27 februari 1651 verpandde hij zijn huis aan Guillaume Nollet d'oude, als borg voor de 21 p. 16 sch. die hij hem schuldig was “voortspruutende van coop ende leverijnghe van graenen”. Terzelfdertijd hield Janneken er een winkel open, want ‘s anderendaags, op 26 februari, werd a.e ”Leopoldus” nog maar eens als pand gegeven, deze keer aan “Thomas Kuijne, coopman ende poorter der stede van Sluys”. De reden voor deze nieuwe transactie was een obligatie van 362 guldens ende 9 stuvers. spruutende over leverijnghe van wijnckelware”. Met dergelijke oplopende schulden zal de familie Bousse wel diep in de nesten gezeten hebben!
Wanneer Maerten overleed, is ons niet bekend. Het moet echter vóór 1659 geweest zijn vermits Stevenine toen “gherecht was in tseste paert” van de voorscheven eigendommen “haer competerende bij den doot ende overlijden van Maerten Bousse, de bezijtteghens heijghen vaeder, met de lasten daer vuijtgaende nevens haer moeder”.
2. François Bouseine
Op 31 oktober 1654 zat Stevenine, vergezeld van haar vader, bij notaris Michiel van Halme te Brugge voor een belangrijke gebeurtenis: zij sloot er en huwelijkscontract af met François Bouseine, een jongeman “van het dan 25 jaeren”.
Francois was geboren te Sinte Jooris nabij Burburgh 3 en zijn vader heette Gulliaeme. De jongeman was niet onbemiddeld, want hij bezat een rente van “50 gulden tsiaers opt huijs van Meester Leuwis de Wachtere, woonende bijnnen Durburgh”, en nog een rente van “2 ponden grooten tsiaers opt huijs van Mr Pensionaris vande Stadt van Grevelinghe”; doch beide renten waren “verachterd ende als noch toe nijst becommelick”.
Reeds op 14 januari 1659 overleed François en hij liet Michiel, een zoontje van 8 maanden aan Stevenine na (zie verder nr. 6). Of de vrouw toen reeds in haar befaamde winkel woonde, konden wij niet achterhalen. Wél weten wij dat François land bewerkte, want na zijn dood kocht Quinten Kelle “11 lijnnen teruwe staende te Blanckenberghe ende 5 lijnnen teruwe staende te Vuijtkercke”; en ook de weduwe van Maarten Bousse kocht “3 hoeden 4 teruwe à 10 schellinghen de maete”. Tevens diende Stevenine pacht te betalen “aen Jan Nollet, ontfangher vande prochie van Vuijtkercke” en “aen Michiel van Halme 5 van stadscosten op het ghebruijck van 7 2 70 R° lants in Blanckenberghe”. Aan haar moeder moest zij 8 pond betalen “over twee jaer huijshuere” en 3 pond “voor schuerhuere”.
Nadat Pieter Goethouck werd vergoed “van eenighen tijt garsen het peert vanden overleden”, besloot Stevenine het geweer van schouder te veranderen. Aan Jan Strijnck gaf zij “2 ponden grooten Vlaams om af te scheeden van seker partie lants hier te vooren ghepacht bij den overleden” en waervan de pacht “noch eenighen tijdt was duerende”. Daarna voldeed zij “door handen vande vidua Maerten Bousse, haere moeder, aen de wieders, die teruwe hebben ghewijet, aende dasschers (11e teruwe hebben ghedasschen (van hunne montcosten)” en aan nog andere arbeiders “van het inhaelen van de besitteghens teruwe”. Resoluut verkocht zij “een plouch aen Gillis Carree, een paert aen .. . (niet ingevuld) tot Vlisseghein ende een greel ende breijdel aen Marijn Bijl”.
Ook François’ klederen moesten er aan geloven: “een brouck ende een wambaels aen de cnaepe van Jooris Kesteloot, eenen graeuwen hoet aen Roelant Kost ende een vosteijne casacke aen Jooris Kesteloot”. Ze verkocht ook nog iets voor 6 schell. “aen een soldaet, genaempt met een oor naeme 6 Blompak”; maar de greffier vergat te melden wat hij kocht!
Bouseine was op het einde van zijn leven een tijdje ziek geweest en zijn vrouw vergoede Catelijnne Boudens met 20 schellingen “over dijveersche dachuren vanden overleden in sijne sieckte bij te staen ende oock mijtsgaeders van het affe te leggen den overleden”.
Voorlopig ging Stevenine bij haar moeder inwonen: “schuldijch aan haere moeder 11 ponden, van elf maenden montcosten tot den 30 december 1659 aen haer met haer kijnt ghegeven” en eveneens “van cleederen om haer kijnt”. Kwam het door de bepalingen in het erfeniscontract, of profiteerde moeder Janneken van haar inwonende dochter, wij weten het niet, maar het is opvallend dat Stevenine ettelijke schulden voor haar moeder diende te vereffenen, aan Jan Nollet, aan Jan Fockedij, aan Jaecques van Oost en aan meer anderen. Op een keer zelfs 10 sch. “gheleent om goet te lossen vuijt en berch van Carijtate”! Lang duurde het samenwonen echter niet. Stevenine leerde Andries Leijs kennen en met hem begon weldra een nieuw hoofdstuk uit haar bewogen leven.
3. Andries Leijs
Vanwaar de Leijs te Blankenberge kwamen, weten wij nog niet, maar er zijn gegevens die naar N.-Frankrijk wijzen. Dààr woonden immers meerdere families met die naam, o.a. te St-Winoksbergen, te West-cappel, te Hersele. 7 Wanneer wij nu vaststellen dat Andries “het 4de paert van eene rente, ligghende op de prochie van Wouchteseele 8 in West-Vlaenderen” bezat, dan wijst dit bezit eveneens in die richting.
Hoe het ook zij met zekerheid weten wij dat Andries de zoon was van Andries Leijs en dat hij te Blankenberge nog twee broers had, Jacques en Malliaert, die er met hun respectieve echtgenoten eveneens een winkel uitbaatten.
Jacques Leijs was op 1 september 1663 met Petronelle Pieter Mallij gehuwd en hij kocht in 1668 een winkelhuis in de rechte Kerckstraete “wesen e hijer tijdden een herberghe, daer vuijt heeft ghesteken de Vijschboot, ghenaemt van houden tijdden den Gouden Leeuw”. Malliaert Leijs huwde begin 1672 met de bejaarde weduwe Marij van Overbeke en die had een winkel “in de Weststrate aen de westsyde van diere”.
Toen Andries op 3 april 1666 overleed, was hij “tresorijer er stede van Blanckenberghe”. Zijn huwelijk met Stevenine moeten wij situeren einde 1659 - begin 1660, vermits hun een zoon, Andries, in 1661 geboren werd. Het jongentje krijgt twee zusters, Anna °1563, en Stevenincken °1665 (zie verder nr. 6). Als voogden van de kinderen fungeren twee broers van de respectieve echtgenoten: Pieter Bousse en Jacques Leijs.
Evenmin als bij de eerste echtgenoot konden wij het huis ontdekken, waarin Stevenine winkel hield. Zéker staat dat Andries ook landbouwer was, want wij treffen schulden aan “Over de malderij vanden saeijsoene, van garspacht, van lantspacht, van pacht van een schuere en van het ghebruijck van (ettelijke) ghemeten lants”. Korte tijd na zijn afsterven liet zijn weduwe “alle de goederen opschrijven ende inventariseren van stijcke tot stijcke”.
Op 22 april 1666 hield stockhouder Cornelis Gevaert venditie “van coijen, peerden en huijscateillen” en die bracht, na aftrek van de kosten, P. 75-16-4 groten op. Een tweede venditie, die “van een deel beesten ende alle de vruchten te velde staende” werd door Jan de Lantraetere gehouden op 4 mei en op 12 juli. De zuivere opbrengst bedroeg hier P. 66-4-10 groten. Tenslotte werd tijdens de maand juni de prysie van het overgebleven huisraad opgemaakt door “dheer Roeland Kost ende dheer Cornelis Govaert”. Resultaat: nog eens 99 pond.
Wat nu de winkel betreft, er komen verscheidene kostrekeningen voor “van ansyn en de olije, van keerse ende seepe” en er moest betaald worden “van toeback van saut, van specerije ende over dijversche bijeren”. Nu zouden deze gegevens niet volstaan om er uit te besluiten dat het hier om een winkel gaat, was het niet dat er een 35-tal klanten vernoemd worden, die nog in het krijt staan “van ghehaelde winckelwaere”. Van één onder hen kende men zelfs de ware naam niet: “van Lijpen Loere soo ghenaempt”.
Nog een woordje over de rente, die door François Bousseine was ingebracht en waarvan de helft aan Stevenine behoorde. Die was bezet “op een huys staende in de Hooghe Cloosterstraete te Brouckburg, dat behoorde aen Jor Sebastiaen de Moralis, schiltcnape, heere van Bouverswalle”. De interesten waren echter moeilijk te verkrijgen: “van de selve rente tot noch toe nijet en is te becommen, doordien hij afgaende is van goede, ende proces is maeckende”. Niettegenstaande deze moeilijkheden, bleef er voor de 3 wezen Leijs nog het rond sommetje van 159 ponden te verdelen, wat er op wijst dat Stevenine er met Andries Leijs fel op vooruitgegaan was.
4. Niclaijs van Recke
a. Veruit de interessantste gegevens betreffende het winkelhuis van Stevenine Bousse (nu ook wel Stevelyne genoemd), halen wij uit de Staten van Goed, opgemaakt na het overlijden van Niclaijs van Hecke, haar derde echtgenoot.
Stevenyncken, bijgestaan door haar broer Pieter en haar schoonbroer, Ferdinande Wilsoet, begaf zich op 23 september 1666 naar pastoor Andreas Eggheman 9 om er met haar nieuwe echtgenoot een huwelijks- contract af te sluiten. Niclaijs Jan van Hecke, nog vrijgezel alhoewel “bet dan 25 jaeren”, was vergezeld “van Pieter van Rooms ende Jan Reusens, syne bystaende vrienden”.
Op 28 september 1676 overleed Niclaijs als “Schepen deser Stede ende Port van Blanckenberghe”. Jan Reusens en Pieter Bousse werden als voogden van zijn twee kinderen aangesteld: Pieter (°1671) en Joanne (°1674) (zie verder nr. 6).
Naar Sanderus
Naar “Caerte Figurative vande gheleghentheijt ende situatie van de stadt ende port van Blanckenberghe” van Charles Lootijns -1697
Bij deze gelegenheid komen wij te weten wat er nu feitelijk de winkel van het gezin stond: “twee huusen die te vooren van malkanderen ghesepareert stonden ende alsnu in een ghebrocht, in de rechte Kerckstraete, op de Oostsyde van diere, palende met den noorthende inden huuse ende herberghe, ghenaempt “den Wildeman”, ende met den Suutghevel inde Piperstraete, achterwaerts streckende met een hoveken ende Erve, komende tot aenden huuse “den Rooden Leeuw”.”
Hoe groot dit huis was en uit welke delen het bestond, zal blijken uit de beschrijving van de inboedel, die wij hieronder laten volgen. Op 18 december 1676 werd. er “coopdach” gehouden door Passchier de Vos, 10 en met de opbrengst ervan (50 p.) werden o.m. “de funeraliën van den overleden” bekostigd. Wat overbleef werd “aen Dhr ende Mre Babtiste Besoete, ontfangher vande thienden in Utkercke overhandigd “in mindergijnghe van meerderder somme”.
b. Pas op 17 en 18 mei 1677 werd de prisie opgemaakt door Niclaijs Vernieuwe; en die laat ons toe ons een beeld te vormen van wat men in die tijd zoal in een winkel aanbood en ook van wat er tot het bezit van behoede mensen behoorde. 11
- eerst inden wynckel
- een dose met wat wit poer suycker, eene dose met wat bruin suycker, eene dose met wat styfblomme, eene dose met wat blausel, met toch een sacxken met wat styfblomme, tsamen 0 - 9 – 0.
- noch vier laeykens, 12 eene met rus, eene met wat fyghen ende pot rosyn, eene met corenten ende dander met wat pruimen, tsainon ghepresen met een schoolbaert 13 met pampier, eene dose met toeback, een mandeken met hijstojppen, 14 een mandeken met catsballen, twee trachters, vier cranen, 15 ses coebanden, 16 drie oliekannen, acht maten soo deen als groot, een olie bacxken met omtrent elf pont ghemichte, ter somme van 0 - 10 - 5
- item een nagelbacxken met grauw pampier, een laeyken met naghels, een idel laeyken, een int kanneken, met wat moeren, met een idem dose 0-3-0
- item een gout ghewichte 0-2-0 17
- item noch vier tonnekens met ses pont saet, eene dose met keersen, met eenen oliepot met een alve pynte olie van olijven 0-4-0
- noch ghepresen ontrent vichthien stoop bier asijn 0-7-0 18
- item noch een deel dosen met specerien ende buscruijt ende ander 0-16-2
- voorts noch een deel prondelijnghe 0-2-6
- noch vier platte dosekens met peper, ginebeere, 19 ende note moscaten 0-3-0
- eene lae met sulfer, ghepresen 0-1-0
- item al het haardewerck bevonden inden wynckel 0-10-0
- voorts noch eene dose met alle soorten lint, ende al het garen lint aen een boort hangende, tsamen een pont vlaemsch 1-0-0
- noch een deel wit garen, catoenelint, een deel ghecouleuxt garen, een duust spellen, wat rijcoorden ende anders, tsamen 0-11-0
- eenen iseren mortier, eenen mostaert meulen met synen staender, en eenen asijn gantier, 20 tsamen 0-4-0
- item eenen soutback met drie vierendeelen 21 soudt ende maten 0-6-0
- voorts eene quaerte 22 met seepe 0-15-6
- noch ontrent vyf steen keersen 1-2–6 23
- item een mandeken met heyers, een sacxken met toeback, een sacxken met wit mostaert saet, twee idem pottysen, 24 eene waterkanne met een alf pijnte sirop, een tonneken met boucqueet blomme, met de maten 0-9-0
- drie coper schalen met wat prondelijnghe 0-13-4
- een tonneken met neghe stoop raepolie 0-16-6
- voorts een dosyne scheurbesems, roebesems ende heetbesems 0-6-8 25
- inde keucken
- eenen hangel, een stad iser, twee lampen, eenen kandelaro, een rooster, eene tanghe, eene witte schapra, eene brune schapra, elf tinne lepels, wat aerde platteelen, een iser potken met noch wat aerdewerck ende drie houte lepels, een voet bancxken, drie stoelen, eene hamme, drie guldens en alf ghebacken broot ter vente, 26 drie traliemanden, met eene biericanne ende een tafelken 1-19-11
- inde kelder
- vier alve tonnen goet bier, twee alve tonnen deen bier, sesthien teelen met melck, een roomstandeken met wat room, acht stucken boters, eene iser panne, eene boterpot met eene teele, eene houte scheutel 4-10-8
- inde kamer
- twee melkseulen, een jock, eenen keeren, eenen staender met een coelvat, boterschotel, eenen trachter, met alle de toebehoorten van voors. keeren 1-14-8
- voorts vijf matte sael stoelen, eene cleene matte stoel, een ront tafelken met een tafelcleet, eene kiste, eene vleeschstande, een voet bancxken, met eenen bruijnen rechtbanck, tsamen 2-1-4
- item eenenveertich gleyersche commekens ende tallioren, vier commen, elf platteelen, twee wijn cannen, met een stoopkanneken 1-5-3
- eenen rooster, een tanghe, een hauwmes, een schippe met een vissepaen, tsamen 0-8-6
- voorts een geijers speesewatervat, 27 eene lanteerne, eene luwermande, met een tafereelken 0-5-0
- item drie dosynen serveeten met een manshemde, tsamen 2-6-0
- noch vijf paer slaeplakens 3-15-0
- voorts een pluijmbedde met een oorpeul, tyke oorkussens, eene groene saerge, twee gordynen met het rabat, 28 ende het rabat voor den heerdt 5-0-0
- item een cafbeddeken, tsamen met een groen saergeken 0-10-0
- noch twaelf tafelcleederen met wat droochcleederen, tsamen 0-4-0
- op den solder boven de Backerie
- de bultelle 29 met hare toebehoorten 2-10-0
- een terwe mate met iser besleghen, een suefte met neghe sacken 0-16-11
- op den solder boven de Camer ende de keucken
- een deel timmer halaem, eenen iseren hantboom, 30 twee wafel isers, eenen iseren brander, eene balance met twee schalen, eenen heinsel, eene schippe, twee seefden, ses pont lonten, eenen iseren hamer met een deel ghewichten 2-16-4
- twee cleeremanden, eene bagge, 31 eene legher coutse, met eene mande coutse, eene pottijse met een cooren vat, tsamen 0-16-2
- ontrent acht heet terwe met het ghemalen meel, tsamen 14-13-4
- ontrent anderalf vat. boonen, een clicxken sukrioen, 32 met wat crijnsse 33 terwe, tsamen 0-9-0
- in den back keucken
- eenen troch met eene deure, wat idel kuijpkens, twee baelmanden, 34 twee hovenstaken, eene iser pale, vijf houte palen, 3 cheulen, 35 eene zantloope, eene houte schale, met wat prondelijnghe, tsamen 1-6-9
- op de platse
- eene waterstande, eene cuijpe, eene vleeschstande, met noch een water stande ende ses melck teelen, tsamen 0-9-0
- int stalleken
- twee quaerten, twee olievaten, eene monde, twee qua stoelen, een stuck houdt, twee standen met calck, een quarteel met henne teten, eene was cuijpe, met noch een cuijpken, tsamen 1-11-6
- een stiercalf, met twijntich rysen 0-17-10 36
- inde scheure
- eenen cruij waghen, eene berrie, drie vyf en twijntich branthoudt met wat persen ende noch een deel dilt persen met het gleij, tsamen 2-4-2
- eene partie steen in de scheure ghestelt par memorie
- item al het stroy, hasschen zoo uit hof als uit verbrande stathuus 7-0-0
- voorts eene ghebrande kasse houdt, lig hende op het hof van het stathuus voors. 0-4-0
- seven hennen met eenen hane, tsamen 0-15-0
- inden bilck
- eerst ende alvooren eene swarte coe, eene gheheele roo coe, een ree grimmelde coe, een root jaerlinck veerseken met een wit teecken op het hooft met een drijnckelijnck calf 30-0-0
c. In de inboedelbeschrijving vinden wij een eigenaardige post “de ghevluchte goederen tot Brugghe”. welke zou de reden kunnen geweest zijn tot het veiligstellen van hun bezittingen? De brand van het nabijgelegen stadhuis in 1675, waarbij het merendeel van de bestaande stadsarchieven de prooi der vlammen werd? 37 Oorlogsomstandigheden?
Het is normaal dat de familie van Hecke-Bousse zijn meest waardevolle voorwerpen veilig stelde. Vandaar een grote hoeveelheid tin. In de eerste plaats “hamer tin: 8 talliooren, 2 platteelen met noch een ander platteel weghenle ontrent de 8 ponden, noch in meerder platteelen, noch tin platteelen, noch 5 platteelen, twee soutvaten ende eene mostaertpot”. Verder waren er voorwerpen in “roose thin: 38 vyf platteelen ende noch twee platteelen”. Een platteel in “hamerthin” werd op 6 sch. en één in “roose thin” op 6 à 8 1/2 sch. geschat.
Nog te Brugge werden geborgen: “eenen iseren pot (5 sch), eene copere kanne met een deckeel (6 sch 8 gr), eenen coperen ketel (1 p 1 sch 8 gr), twee matale candelaers met eene thinne pynte ende 17 thinne lepels (10 sch), eenen spaghel (9 sch), eenen schabellebanck (6sch 8 gr), eene wttreckende schuuftaefel (15 sch 8 gr), oenen schrijnewercken rechtbanck (1-11-0), een oorkussen (5 sch), ses paer flowynen (15 sch), twee witte Spaensche sargien (1-16-0), een schoon laken met vier ammelakens (15 sch 6 gr) ende twaalf gleijersche kannen ene wijnpijnten (13 sch 4 gr)”.
d. Wij mogen aannemen dat Stevenine goede zaken deed in haar winkel. In 1675 werd er een rente bezet op het huis van Pieter Verheecke 39 en in 1676 op dit van Barbara Deckers, weduwe van Segher Moens, in de Piperstraete. Een 30-tal schuldenaars komen voor met het bedrag dat zij nog moesten vereffenen, de meesten “overghehaelde wijnckelwaren mitsgaders backen”, enderen “van lynwnet, van schapenvleesch, van broot, van loot” en één “van lynwact om een seil te maken”. Deze laatste was Cornelis Pausen hij vaarde “op een schuijte”, de gemeenschappelijk bezit was van Niclacijs Van Hecke en Pieter Govaert. Het zeil was hij komen halen “te Ste Maertemesse 1673” en in 1677 was het nog niet afbetaald!
Niclaijs hakte ook meel voor anderen en de vergoeding hiervoor verschilde waarschijnlijk volgens de grootte van het gezin. Een alleenstaande, zoals de vidua Jan Van Heeke (Niclaijs eigen moeder), diende voor een jaar bakken 16 sch 8 gr te betalen, maar zij had dit voor de jongste drie jaar verwaarloosd. Anderen betaalden iets meer: “Maerten Coppens 1 p gr tsiaers, Christoffels Zitter 1 p 10 sch gr en Ferdinande Wilsoet 1 p sch 4 gr tsiaers”. Jan Vercoullie moest weliswaar voor het bakken 18 sch per jaar afdokken, maar hij stond al 5 jaar achter met zijn schuld! En Niclaijs maar bakken!!
Enkele namen van leveranciers wijzen er ons op dat Blankenberge voor dit soort zaken van Brugge afhing:
- Jaecques de Kynder tot Brugghe ... van asyn,
- Sr de Grieck tot Brugghe ... van specerien, suker ende anders,
- Niclaeijs Trottein tot Brugghe ... van eenen cabel ende anders tot oorboor van eene schuijte,
- Rogier Verbeke tot Brugghe ... van wijnckelwaren,
- Geeraert vande Poele tot Brugghe ... van lynwaet,
- dheer Pieter Annica (in 1680 Burgemeester van Schepenen) ... van terwe’.
Eindresultaat: een gunstige balans, alhoewel betrekkelijk veel minder dan 10 jaar te voren: baten 117 - 0 - 11 gr; lasten 26 - 9 - 6 gr; kredietsaldo pond. 90 - 11 - 5 groten. Tenslotte nog een paar onkosten in verband met het registreren: “aen dhr ende mre Jan Baptiste Vache, greffier van weesen 16 sch, over trecht eeden vande rendante (Stevenine) met te weeseboucke te registreren 2 sch, eeden voochden ende te weeseboucke te registreren 2 sch “.
5. Carel Gheijlle
Anderhalf jaar na het afsterven van haar derde echtgenoot, zat Stevenine op nieuw voor de pastoor van Blankenberge, om er een huwelijkscontract af te sluiten met een vierde uitverkorene. Deze heette Carel en hij was de zoon van dheer Jan Gheijlle; hij was meerderjarig en nog vrijgezel. Stevenine, om en om de 45, was wederom vergezeld van haar broer en haar zwager. Pastoor Franchois Vande Vivere dateerde het contract op 24 februari 1678. 40
Amper twee jaar later, Carel Gheijlie was toen reeds schepen van Blankenberge, op 9 maart 1680 kwam het einde voor Stevenine Bousse. Zij had haar bezittingen nog aangedikt met “een huijs staende in de rechte Kerckstraete, ten voorhoofde aende westsyde van diere, met den noordtghevele in de Schure van dhr Pieter Goethoucke”.
Er werd nog steeds gebakken: de Staat van Goed vermeldt een deel meel, een troch, paden, blackens, een balanche ende ghewichten, e.a. benodigdheden meer.
Van Carel Gheijlie nadien geen verder spoor meer te Blankenberge: noch nieuw huwelijk, noch overlijden.
6. Nageslacht
a. Bouseine
Veel nakomelingen liet Stcvcnine Bousse niet achter. Uit haar eerste huwelijk: geen letter meer over Michielken Bouseine. Reeds in 1666 wordt er in se St.v.G. met geen woord over het jongentje gerept, zodat wij mogen aannemen dat het op jeugdige leeftijd gestorven is.
b. Leijs
Zoals hoger geschreven, overleed Niclaijs van Hecke op 28 september 1676. In dezelfde maand, enkele dagen vooraf, werden ook Andries Leijs, 16 jaar, en Stevenincken Leijs, 12 jaar, ten grave gedragen. Kunnen wij hieruit besluiten dat een of andere “contagieuse sieckte” de stad teisterde?
Anna Leijs overleefde die omstandigheid in ieder geval en zij huwde met Pieter Lybaert, die van 1692 tot 1694 “tresorier van de Stede en de Port van Blanckenberghe” was. Toen Pieter er op 20 juni 1694 begraven werd, was hij de eigenaar van de herberg “Den Hertoghe van Beijeren” 41 en, causa uxorem, mede-eigenaar van de herberg “Den Visch-boot”. Hun enige dochter, Anna Lybaert, was toen 11 jaar. 42 Het vereffenen van het sterfhuis bezorgde de weduwe nogal wat hoofdbrekens, vermits zij er niet in geslaagd was, de rekeningen van haar man te ontcijferen en de kasboeken had moeten deponeren ten stadhuize, waar zij door de bevoegde overheid uitgepluisd werden.
Waren deze moeilijkheden er de oorzaak van dan Anna Leijs reeds op 26 augustus hertrouwd was met Michiel Tanghe? Twee zoontjes werden uit dit nieuwe huwelijk geboren: Emanuel (°19/12/1695 en + 7/6/1696) en Michiel (° 28/5/1698). Van dit laatste knaapje was Maria Leijts meter. Een overlijden van Michiel Tanghe vonden wij niet, maar wel een derde huwelijk van Anna, op 23 augustus 1698 met Niclaijs Van Viane. Lenaert Monset, gehuwd met Cornelis Leijts, was haar getuige, samen met Anna’s halfbroer, Pieter Van Hecke. Mogen we uit de namen van de getuigen met reden veronderstellen dat het om dezelfde Joanna Leijs gaat, volstrekt zeker zijn wij toch niet.
Blankenberge en Uitkerke, zoals zij afgebeeld staan op de “Aenwijsinghe vande nieuwe Blanckenberghschen calleseijdewegh, ten jaere 1723 ghemaekt - Inventor Frans Verplancke - geteekent door Hendrick Pulinx, oversiender van stadts wercken”.
SA Brugge - Kaart ingeplakt in het “Ferieboec’ van 1711 â 1737.
Er is geen Anna Leijs te Blankenberge overleden, wèl een Joanna op 31 maart 1701. Geen kinderen van Viane-Leijs Van Hecke.
Joanna van Hecke heeft haar vader Niclaijs niet lang overleefd, want toen haar moeder in 1680 stierf, was het kind reeds dood en begraven.
Na de dood van Stevenine werd Pieter Van Hecke opgevoed bij zijn tante, Pieternelle Van Hecke, die met Pieter Vereecke getrouwd was. 42 Zijn voogden hadden het niet onder de markt bij het verdedigen van zijn belangen! Pieter Lybaert, die Pieter Bousse als voogd materneel opgevoed had, waakte er over dat de jongen degelijk verzorgd werd: de knaap droeg lijnwaden en lakene pakken, en geregeld mocht hij nieuwe schoenen halen bij “Matteus de Lapper”.
In 1684 erfde de kleine Pieter een en ander van Joos Van Hecke, “synen ouden oom, overleden bij het fort van Roonuise bij Gendt, 43 en voogd Lybaert beklaagde zich er over (en gaf een kostenrekening af!) “dat hij 0 à 9 daghen vt syn huis gewest was naer Gendt, ten tijde van oorlooghe, om te gaan doelen...”.
Een lastige kwant bleek Carel Gheijlle te zijn, de stiefvader van de knaap.
Toen de voogden op 18 maart 1686 de Rekeninghe Purgative opmaakten, had de man nog steeds het sterfhuis van Stevenine Bousse niet afgehandeld en de erfenis van zijn stiefzoon veilig gesteld. Het was nog niet genoeg dat de voogden hem hadden zitten opwachten “ter herberghe van Claeis Jansens om de rekeninghe te commen hooren”, Pieter Lybaert en Jan Reusens moesten “noch een espresse voaghe doen te peerde naar Brugghe om te doen rekeninghe met Carel Geile”! En niettegenstaande deze inspanningen, liep het met die Carel nog niet van een leien dakje, want er werd een kostennota ingediend van “noch andere differente voagen ende moejeniessen ende affijsen van avecaet Gisebrecht”. Ja, als voogd ernstig de belangen van de wezen ter harte nemen, was geen sinekuur! 44
Pieter van Hecke huwde met Appolonia Disserinck op 20 juli 1694 en verloor haar op 12 februari 1696. Pieter liet haar met een volle dienst begraven en hertrouwde op 14 augustus 1696 met Maria Leijs, waarschijnlijk een tante van Anna, die. omstreeks 1656 geboren was. Door het ontbreken van parochie- registers zijn wij weliswaar overgeleverd aan veronderstellingen, maar gezien de beide getuigen van dit huwelijk bovengenoemde Lenaert Monset en Michiel Tanghe waren, lijkt deze hypothese tamelijk stevig gefundeerd.
Pieter overleed op 20 oktober 1711. Hij was 39 jaar oud en werd met een midden-dienst ter aarde besteld. Maria Leijs overleed op 2 januari 1714. Zij was er 57 en zij werd zoals haar man met een midden-dienst begraven. Er waren geen kinderen geboren.
Bronnen
- RA Brugge, Parochieregisters van Blankenberge.
- RA Brugge, Fonds Oud-Blankenberge, Staten van Goed, nr. ‘s. 393, 404, 440, 441, 457, 483, 557.
- Legougeux, Blankenberghe, histoire et souvenirs”, Stadsbib. Brugge, nr. 4/568.
- Charles Carton, in An. Soc. Em., deel III, p. 53 en volgende.
- RA Brugge, Kaarten Mestdagh, nr. 75: Plan Blankenberge, in 1697 getekend door Charles Lootijns G.J.F.
- RA Brugge, Fonds Oud-Blankenberge nr. 333, Wettelijke Passeeringen
- Vlaamse Stam 1966, nr. 4.
- “Ons Heem” 1959, nr. 4: Tin-nummer.
- De uitlegwoordenboeken van 1. De Bo en van Verwijs en Verdam.
Noten
- In het Brugse Vrije werd men pas meerderjarig op 24-jarige leeftijd.
- Wett. Pass. p 11. In 1651 woonde Pauwels Sproncholf ten noorden van Maerten en schepen Roelof Adriaen ten zuiden.
- Sint-Joris-aan-de-Aa: dorpje (200 inw.) tussen Grevelingen en Broekburg, in het Broekburgambacht.
- Hoed: inhoudsmaat van iets meer dan 170 liter.
- Michiel van Halme was in 1659 notaris te Brugbe en terzelfdertijd trésorier van Blankenberge.
- Oor naeme: een geslachtsnaam
- Zie Vlaamse Stam 1966, nr. 4 p. 360 en vlg.
- Ochtezeele: dorpje (300 inw.) op enkele km ten noorden van Kassel, aan de Peeneboek, bijriviertje van de IJzer.
- Andries Eggheman, voorheen pastoor te Wenduine, was pastoor te Blankenberge van 8 december 1646 tot 1687, wanneer hij wegens gezondheidsredenen ontslag nam.
- Passchier de Vos was rond 1680 tresorier van Blankenberge,
- Het is wel interessant de inboedel te vergelijken met die van de winkel te Westkapelle, die verschenen is in “Rond de Poldertorens” 1970 nr. 2, p.60.
- Een kleine lade.
- Klein bakje, waarin de leerlingen hun boeken en schrijfgerei borgen om die naar huis mee te nemen.
- IJstop: drijftol die men, gewoonlijk op het ijs, met een zweepje liet draaien
- Waarschijblijk de kraan van een biervat
- Leidselkoord voor runderen.
- Weegschaaltje om goud te wegen.
- Oude inhoudsmaat van ongeveer 20 liter.
- Ginebeere: gember. De voornaamste specerijen waren toen: cappers, rosynen, peper, gennebeere, caneele, greine, saffaen, e.a.
- Houten gestoelte waarop een ton bier of wijn rustte.
- Vierendeel: naam van een maat, een vierde deel, ook “quaerte” genoemd. “Dit is de stoopmate: eerst een stoop, een vierendeel, een pinte, een halve pinte’.
- Vochtmaat met een inhoud van 10 à 15 liter.
- Steen: een gewicht, gewoonlijk 6 pond.
- Aarden vat met wijde balg en enge hals, om bv. snuif in te bewaren of om bloemtuiltjes in te zetten.
- Roebesem en heetbesem: nergens gevonden. Er bestond wél een krakkelbesem, een pottebesem, een stalbesem, een tunnebesem.
- Om te verkopen.
- Wijwatervat.
- Rabat: stuk stof, dat als sieraad o.m. aan een schoorsteen hing; ook kaafkleed of frieze genoemd.
- Bultelle (om te bulten?): volgens de woordenboeken: doek, als filter gebruikt; dus een soort zeef. De hoge waarde ervan doet veronderstellen, dat het om iets anders gaat.
- Hantboom: breekstang, paal waarmede men iets stuk breekt.
- Bagge: rugmand, draagkorf voor vis of voor kinderen.
- Sukrioen: zomergerst (Fr. écourgeon).
- Crijnse: klein, onvolwassen of slecht graan.
- Baelmande: wij hebben het nergens gevonden. wie deelt het ons mede?
- Cheulen: waarschijnlijk seule = emmer.
- Rysen: bussels rijshout.
- In 1675 brak brand uit in het stadhuis van Blankenberge, dat ergens aan de Oostdijk stond. De hele inboedel ging met het gebouw in de vlammen op. Korte tijd daarna werd er een nieuw stadhuis opgetrokken, want reeds op 20 oogst 1680 schreef het stadsbestuur een rente uit “up het nieuw gheinaeckt stadthuys”. Pieter flanicaert was toen Burgemeester van Schepenen en Joos Goethouck Burgemeester van den Commune. Christoffels de Sittere, Jaeques de Cock, ‘~driaen de Lantmetere en Charles Cheyle waren er schepenen.
- Hamertin ne Roostiri: wijst p het merk, dat in het tin geslagen werd: een gekroonde hamer of een roos. Roostin was meestal zuiver tin, daar waar hamertin een procent ander metaal bevatte. Vandaar de meerwaarde van roostin. Lees hier ver heu merkwaardige Tinnummer van “Ons Teem”, nr. 4 van 1959.
- Pieter Vereecke (ook Verheeke en Verreke) was gehuwd met Pieternelle van ilecke, de zuster van Niclaijs. Zijn huis stond “op de gronselmarckt, metten noordthende aenden zeedyck”.
- Legougeux schrijft (p. 271) lat “Guillaume Vande Vyvere als opvolger van pastoor Eggheman, op 15 juni 1679 vanen uine naar Blankenberge over geplaatst werd en er nog hetzelfde jaar overleed. Hij is dus lichtjes in tegenspraak met de datum uit de St.v.G.
- De naam zal gegeven zijn uit bewondering voor Maximiliaan Emanuel., keurvorst van Beieren, die van 1692 tot 1697 aan de zijde van de Nederlanders tegen de Fransen kwam strijden en hier door de Spaanse koning als Goeverneur Generaal werd aangesteld. De St.v.G. vermeldt de ligging van die herberg niet. In “Den Visch-boot” ofte “Den Gouden Leeuw” was Anna gerechtigd als erfgename van haar oom, Jaeques Leijs.
- Zuma Lybaert huwde op 18 april 1706 met Frans Houtekens.
- Lees over "Rodenhuize" bijdrage van Michiel De Vos in “Appeltjes van het Meetjesland” 1967, p. 234 Rodenhuize was oorspronkelijk een abdij, later een fort, aan de grens van de gemeenten Desteldonk, Loochristi en iiendonk. Het was om zo te zeggen het sluitstuk van de verdedigingsgordel van Gent~ en het werd, in 1685, op last van de Staten van Vlaanderen gesloopt. De troepen van Lodewijk XIV traden zo medoogenloos tegen de plattelandsbewoners rond Brugge en Gent op, dat de Spaanse landvoogd Grana op 12 oktober 1685 de Vlaamse bevolking opriep tot verweer tegen de Franse aanmatiging. Het was in die strijd dat Joos van Hecke sneuvelde.
- RA Brugge, Fonds Oud-Blankenberge, Rek. nr. 423.
