“Monnikerede-Boven” op de kaart van de Zwinstreek uit 1501
Een havenstadje dat volledig zou verdwijnen
Caroline Terryn
Jan de Hervy - Kaart van de Zwinstreek - 1501 - Groeningemuseum Brugge © Foto: Lukas - Art in Flanders VZW (www.lukasweb.be) Hugo Maertens Brugge
De Hervy beeldde Monnikerede-Boven af als een dichtbebouwd Zwinhaventje. Het loont de moeite om - als dat mogelijk is - de Zwinkaart op uw PC op te roepen: http://www.lukasweb.be/nl/foto/kaart-van-de-zwinstreek-1. Dan kan u de kaart in kleur bekijken en in goede kwaliteit. De Hervy suggereert dat het centrum van Monnikerede veel huizen telt, dat ze gericht zijn naar het water, het Zwin en dat ze groot en degelijk zijn: het huis vooraan heeft minstens 3 verdiepingen: boven het gelijkvloers met grote poort zijn er nog 2 verdiepingen. Dit was een typisch huis van een rijke koopman, die beneden - en misschien in een kelder - zijn waren kon stapelen. Het moet een huis geweest zijn zoals bv. huis de Grote Sterre in Damme, waar nu de Toeristische Dienst zit. De Hervy kleurde de meeste daken rood, waarmee hij duidelijk maakte dat het stenen huizen met dakpannen, geen lemen hutten met strooien daken waren. Kortom: Monnikerede had stadsallures. Toch ontbreken er twee zaken die een echte stad kenmerkten: een stadsomwalling en torens. Het detail van Sluis (foto rechts) toont een stad zoals de Hervy en de Vlaamse primitieven een stad afbeeldden: een dichte opeenstapeling van huizen, maar vooral van torens van kerken en een belfort, geprangd binnen een stadsomwalling met robuuste stadspoorten. Monnikerede had geen stadswallen en was onbeschermd. In oorlogstijd zochten de bewoners hun toevlucht binnen de wallen van Damme of Sluis.
Nog opvallender is dat Monnikerede geen kerk had. In Hoeke, een vergelijkbaar Zwinhaventje, staan de huisjes mooi rond de kerk (zie foto rechts). Dat de Hervy Monnikerede afbeeldt zonder kerk is correct. Het stadje heeft inderdaad nooit een kerk gehad en is, i.t.t. bijvoorbeeld Hoeke, nooit een afzonderlijke parochie geweest. Altijd moesten die van Monnikerede ter kerke gaan in Oostkerke. De afstand was wellicht geen probleem - Oostkerke lag op amper een km afstand -,
maar het moet voor de rijke stedelingen wel frustrerend geweest zijn dat ze op religieus vlak bijna even afhankelijk waren van de heer van Oostkerke als de dorpelingen en boeren uit de omtrek. In zijn heerlijkheid was de heer van Oostkerke heer en meester; ook op parochiaal vlak, want hij stelde de pastoor aan en controleerde de armendis. Die van Monnikerede stelden in hun gloriedagen wel een eigen kapelaan aan, maar die moest de mis opdragen in de kerk van de heer van Oostkerke.
Schippers met stadsrechten
Die kerkelijke afhankelijkheid stond in schril contrast met hun economische en politieke situatie. Op dat vlak hadden die van Monnikerede zich wel vrijgemaakt van de heerlijkheid Oostkerke. Ze hadden stadsrechten bekomen, wat betekende dat ze zelfbestuur hadden. Dat hadden ze te danken aan hun beroep: het waren schippers. In vredestijd vaarden ze met hun eigen schepen naar de Golf van Gascogne en brachten voor Brugse handelaars bijvoorbeeld Bordeauxwijn mee. Daarmee verdienden ze klinkende munt.
In oorlogstijd stelden ze hun schepen ter beschikking van de oorlogvoerende partijen. Dat was het moment om andere eisen te stellen en privileges te bedingen ten opzichte van andere handelaars of ten koste van de feodale heren. Zo verkregen Lambekinus en Johannes de Muncknerod in 1230 de toelating van de Engelse koning om in zijn land handel te drijven omdat ze op hun koggen ‘La Blome’ en ‘Welfare’ de Engelse troepen naar Frankrijk hadden overgebracht.
Een ander stedelijk voorrecht was zelfbestuur. Drie schepenakten uit 1266 bewijzen dat Monnikerede toen al zelf kon beslissen en recht spreken. Uit latere bronnen blijkt dat hun rechtsgebied 118ha besloeg. Gravin Margaretha van Constantinopel had dat gebied op een gegeven moment ontnomen aan de heer van Oostkerke in ruil voor een of andere dienst. Vier jaar eerder hadden de schippers van Monnikerede deelgenomen aan ‘de Vlaamschen krijgstocht naar Zeeland’. Hoe de gravin die van Monnikerede daarvoor beloonde is niet meteen duidelijk, maar het is op zo’n momenten dat steden hun voorrechten verwierven. Misschien dankte Monnikerede haar stadsrechten aan die oorlogsdeelname.
Bij een andere gelegenheid was Monnikerede voor bewezen diensten beloond met de stapel van gedroogde vis. Alle import en export van gedroogde vis in heel Vlaanderen moest langs Monnikerede passeren en zij hadden voorkooprecht. Bij schaarste konden ze alles opkopen en superwinst boeken.
Een Zwinhaven in de schaduw van Damme en Sluis
Monnikerede leefde in de schaduw van haar grote buur Damme: het hoogste bevolkingscijfer van Monnikerede wordt geschat op 400; dat van Damme op 5.000 (en dat van Brugge op 40.000). Na de Frans-Vlaamse oorlog (1297-1305) werd de zeer zware Vlaamse herstelbetaling verdeeld volgens draagkracht, het zgn. Transport van Vlaanderen uit 1309.
- Mude 6 penningen
- Hoeke 8
- Monnikerede 10
- Damme 106
- Brugge 3651 (= 15ponden 4 schellingen 3 penningen)
De machtsverhoudingen zijn duidelijk. Als die van Monnikerede in 1266 een sluis bouwen op de Monnikerede, het waterloopje dat uitmondt in het Zwin en waaraan het haventje zijn naam zou danken, verbiedt het stadsbestuur van Damme scheepvaart door die sluis om te verhinderen dat die van Monnikerede achter de sluis een getijdenvrije maken en concurreren met Damme. Dankzij het verbod bleef Damme in de 13de eeuw de onbetwiste overslaghaven, waar de last van zeeschepen overgeladen werd op binnenschepen die naar Brugge voeren via de Reye of vanaf 1269 naar Gent via de Lieve. Enkel in Damme konden zeeschepen aanleggen aan een stenen kade om te laden en lossen; vanaf 1269 had Damme zelfs een kraan. In Monnikerede moesten de zeeschepen zich net als in de andere kleine Zwinhavens bij vloed op de oever laten droogvallen, zoals de vissersboten tot begin 20ste eeuw op het strand deden. In de loop van de 14de eeuw konden de grotere zeeschepen door de verzanding niet meer tot Damme varen en nam Sluis de overslagfunctie over. Van dan af staat Monnikerede ook in de schaduw van Sluis.
Dit stratenplan van Monnikerede is een herwerking door ar-cheologe Bieke Hillewaert1 van het plan op vorige pagina dat archivaris Jos De Smet opgemaakt had op basis van een kaart uit 1695. Wij voegden er het Zwin aan toe. In 1695 waren nog maar 7 huizen bewoond en al vele straten verdonkerd, maar op basis van vroegere geschreven bronnen kon De Smet het middeleeuwse stratenplan retraceren.
1. HILLEWAERT B., La petite ville de Monnikerede: analy-se du relief et étude microtopographique in: Scholae Ar-chaeologicae, Gent, 1986, pp. 1-46
Van verval tot verdwijnen
De Hervy beeldde Monnikerede af op een kantelmoment. Dat 1501 het begin van het einde inluidde wordt mooi gei'llustreerd door de lotgevallen van het stadhuis van Monnikerede dat op de noordoosthoek van de Markt stond. De 4 schepenen van het stadsbestuur hadden er in de middeleeuwen zowel een vierschaar, een vertrek waar ze recht spraken, als een ‘camer’ om te vergaderen. Daar bewaarden ze ook de stadskeuren in een zware ijzeren koffer. Gevangenen werden in de kelder vastgehouden. Toen in 1462 het stadhuis afbrandde, kon Monnikerede nog een nieuw en steviger stadhuis met een tegeldak i.p.v. een strodak bouwen, maar nog geen 100 jaar later kon het niet eens meer de kelder onderhouden, want de gevangenis was er zo erg aan toe dat de kolfdrager, de politieman, de gevangene thuis moest opsluiten.
Het 16de eeuws verval was het gevolg van de verzanding van het Zwin en de concurrentie van Antwerpen. Monnikerede was er zo belabberd aan toe dat het stadsbestuur in 1557 aan de Spaanse koning vroeg om bij Damme gevoegd te worden. In 1594 werd dat verzoek ingewilligd. Bij de fusie werd ook Hoeke betrokken, maar de twee haventjes bleven wel elk met een schepen in het Damse stadsbestuur vertegenwoordigd. Veel hadden ze niet in de pap te brokken, want in de garnizoenstad Damme zwaaide de militaire gouverneur de plak.
Eind 17de eeuw bleven van het stadhuis maar enkele muren meer over en was de Markt een boomgaard geworden. Napoleon gaf in 1813 de doodsteek aan Monnikerede-Boven want hij trok het kanaal Brugge-Sluis-Breskens dwars door de Markt. Dit kaartje en alle bovenstaande gegevens komen uit: DE SMET Jos, Monikerede. Een verdwenen zeestad van het Zwin in: Biekorf 1938, pp 2-14.
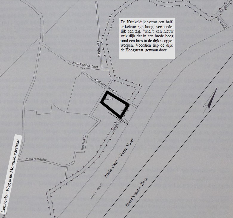
Monnikerede ontstond achter de dijk op de linker Zwinoever. Net als in Hoeke heette de dijk de Hoogstraat. Aanvankelijk kwam bij vloed het water tot aan de dijk, maar naarmate het Zwin verzandde, werd de slikke een schorre: enkel bij stormvloed overstroomde het gebied nog. Een ideale plaats om het lazaret voor de melaatsen te bouwen. In de middeleeuwen werd het Zwin gedurig uitgebaggerd om de vaargeul bevaarbaar te houden, maar uiteindelijk gaf Brugge het Zwin op en dolf parallel ermee de Verse Vaart. Dit kanaal was in 1564
klaar. Het wordt ook Zoete Vaart genoemd omdat de zeesluis ter hoogte van Sluis verhinderde dat er zout zeewater instroomde. Pourbus besteedde bij het opmaken van zijn kaart van het Brugse Vrije (rechts) veel aandacht aan de dijken. Ter hoogte van Muenikerede beeldde hij er 4 af: v.l.n.r.:1 Hoogstraat, 2&3 linker- en rechterdijk van de Zoete Vaart en 4 rechterdijk van de Zoute Vaart. De afgesleten dijken, in kaart gebracht in de microtopografische studie, gaan we op 29 juni 2013 ter plaatse bekijken. Afspraak 13u30, bij Ter Polders.- juni 2013 - p.32


Links: Pourbus, Brugse Vrije, Muenikerede, 1571 - foto uit VERHULST, Landschap en landbouw in middeleeuws Vlaanderen
Rechts: Villa Monnikerede aan de Damse Vaart is wel degelijk gebouwd op de Markt van het verdwenen havenstadje.
